Wubi News

Hurricane season brings financial fears in the Caribbean

2025-10-02 08:00:03
Homes in Barbuda were flattened by 2017's Hurricane Irma

For some Barbudans, thunderstorms still trigger flashbacks of the night in September 2017 when they lost everything they owned to Hurricane Irma's devastating winds.

Eight years on, while memories may be close to hand, home insurance for many on Barbuda and other islands in the Caribbean's hurricane belt is more prohibitively expensive than ever.

Across the region premiums have gone through the roof in the past two years, surging by as much as 40% on some islands, according to industry figures.

Experts blame a perfect storm of increasing risk – as the region sees worsening and more rapidly intensifying cyclones – yet tiny populations of people to pay for policies, equating to poor returns for insurance companies.

Dwight Benjamin's Barbuda home was one of few left relatively undamaged by Irma. After the storm, he invested in a one-room extension topped with a concrete roof that will serve as a shelter for his family should disaster strike again.

"I think the house should be sound enough but that's my added protection," he says.

With peak hurricane season now in full swing, Dwight is among many Caribbean people anxiously monitoring weather platforms for activity in the Atlantic. Should a system head his way, he will do as he did during Irma – hope and pray.

"I've never had insurance; most Barbudans don't really think it's worth it. It's just an added expense to the meagre resources we have," he explains.

"Plus, we believe in what we have built and that it should be able to withstand the weather."

Dwight Benjamin built an extension to his home which serves as a shelter during hurricanes

Like Dwight, many Caribbean people build homes "out of pocket", rather than opting for mortgages that can have high interest rates in this part of the world.

And the majority of homes on islands affected by hurricanes are uninsured. In Jamaica only 20% are reported to have cover, and just half in Barbados.

It is not just storms threatening the region, but earthquakes and volcanos too, points out Peter Levy, boss of Jamaican insurance company BCIC.

As a result of these threats of natural disaster, which Mr Levy calls the Caribbean's "unique market", the cost of home insurance will always be high.

One Antiguan insurance firm, Anjo, typically charges premiums of between 1.3% and 1.7% of a home's value. Whereas in the UK, for example, it can be less than 0.2%.

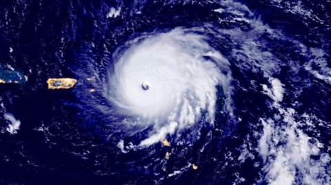
Hurricane Irma, pictured, is the most powerful storm to have hit Barbuda since records began

The Atlantic hurricane season runs from 1 June to 30 November, with the most activity occurring between mid-August and mid-October. The northern Caribbean nations, such as Antigua and Barbuda, the Bahamas, British Virgin Islands, and the Dominican Republic, are among the most at risk of a direct hit.

The peak months can be torturous for people with Irma-related trauma, says Mohammid Walbrook, another Barbudan resident. "Whenever there's an announcement of a storm coming our way, it brings back bad memories. For some, even thunder and lightning are a trigger," he says.

Back in 2017, Mohammid took shelter in a bathroom with his mother, father, sister and nephews when Irma's category five winds tore the roof from his parents' home.

His own uninsured two-bedroom property was also badly damaged. He was one of several Barbudans to receive a new house through assistance from international donors.

Mohammid Walbrook survived Hurricane Irma

He thinks the expansion of partnerships with the private sector and with other countries in the region might help mitigate the impacts.

One such mechanism is the Caribbean Catastrophe Risk Insurance Facility, of which 19 Caribbean governments are members. Set up after Hurricane Ivan in 2004, the first-of-its-kind risk-pooling venture allows member governments to buy disaster coverage at low cost.

Last year it made record payments topping $85m to Hurricane Beryl-hit islands.

In Antigua and Barbuda, hurricane preparedness is a year-round endeavour, explains Sherrod James, director of the country's office of disaster services.

Assessments of buildings to be used as storm shelters, along with training of volunteers to man them, starts months before the season starts, he says.

"We also meet with the private sector, helping them put policies and preparations in place, looking at the safety and resilience of their buildings. We make sure our critical partners, such as the ports, are prepared.

"And we do a lot of proactive work to address chokepoints within waterways that can exacerbate flooding," adds Mr James. "These days, storms can go from a category one to five in a day. The new norm has thrown out the old regiment of what has to be done; we have to be much more proactive now."

For many Barbudans, this time of year will always bring trepidation. Dwight was among dozens who recently attended a Hurricane Irma remembrance service at the island's Pentecostal Church.

"It was very touching and brought back a lot of memories," he says. "This time of year, we keep an eye on the weather and our fingers crossed. But we are resilient people and we know how to survive."